下列建设项目规划已在ray雷竞技官网入口城乡规划委员会2020年11月4日第四次全体会议审议,拟予通过,现公示如下,公示期30天,欢迎广大居民及相关利害关系人向县自然资源局提出宝贵意见。
一、修建性详细规划
1、ray雷竞技官网入口国家档案馆修建性详细规划
规划情况:该规划位于天成路东侧,县住建局北侧,该用地为县建设工程质量检测中心行政办公用地。规划总平面布置一栋6-8F档案馆,建筑高度29.4m,人行主出入口位于天成路与规划道路交汇处,地下车库出入口位于档案馆东南侧。规划主要经济技术指标:规划用地面积2309㎡(合约3.46亩),总建筑面积9082.02㎡(其中地上建筑面积7438.29㎡,地下建筑面积1634.31㎡),建筑基地面积936.18㎡,容积率3.22,建筑密度40.5%,绿地率20%,停车位43个(地上7个、地下36个)。
2、ray雷竞技官网入口金鸡岭烈士陵园景观方案设计
规划情况:该规划位于金鸡岭公园内,内容以展示红色文化、红色文化教育为主的主题公园,规划用地面积15219㎡(合约22.8亩)。规划结构:一轴一心四区,红色文化瞻仰轴,陵园纪念丰碑为心,红色纪念区、登高瞻仰区,誓师献礼区,停车服务区,南侧规划30个停车位,根据现状金鸡岭现状道路沿等高线改造一条支路(道路红线宽度4-6m),取消了总体规划自西向东的规划道路(绕城西路至建设大道,道路红线宽度16m)。
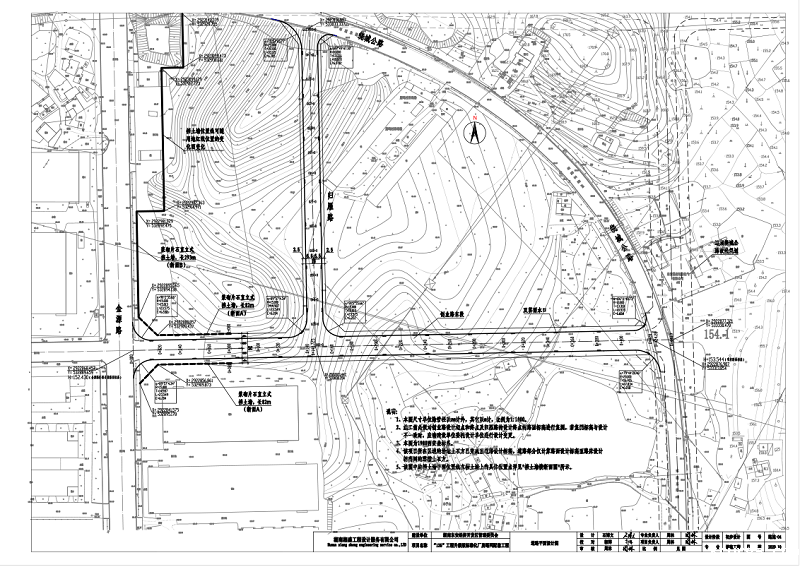
3、ray雷竞技官网入口崇德华府修建性详细规划
规划情况:该规划位于青土坪路与官田北路交汇处,青土坪路北侧,官田北路西侧。规划总平面内共计10栋高层住宅,建筑高度为73.2-79m,建筑层数为1+25F两栋,1+26F四栋,1+27F两栋。规划主要经济技术指标:规划用地面积36972.72㎡(合约55.4亩),总建筑面积122611.25㎡(其中计容建筑面积111158.33㎡,不计容建筑面积11452.92㎡),不计容建筑面积包括地下车库9096.65㎡(人防建筑面积4530.02㎡),公共图书馆50.60㎡,文体活动室291.56㎡,养老服务设施164.61㎡,物管用房251.18㎡,托儿所340㎡,公厕68.09㎡,架空层759.07㎡,屋顶层413.16㎡。容积率3.0,建筑密度22%,绿地率35.02%,总户数817户,停车位913个(地上单层车位137个,两层机械车位257个、地下两层机械车位548个,车库108个)。
4、徐福·天誉修建性详细规划
规划情况:该规划位于官田北路与鹿鸣路交汇处,鹿鸣路南侧,官田北路西侧。规划总平面内共计7栋高层住宅,建筑高度为79.9m,建筑层数为27F。规划主要经济技术指标:规划用地面积35595.67㎡(合约53.4亩),总建筑面积116327.8㎡(其中计容建筑面积106787㎡,不计容建筑面积9540.8㎡),不计容建筑面积包括地下车库6687.92㎡(人防建筑面积4368.84㎡),公共图书馆86.35㎡,文体活动室236.4㎡,养老服务设施192.5㎡,物管用房256.8㎡,托儿所440.4㎡,楼梯和电梯机房屋面513.9㎡。容积率3.0,建筑密度22%,绿地率35%,总户数907户,停车位952个(地面一层车位72个,地面两层机械车位281个、地下三层机械车位572个,车库28个)。
二、控制性详细规划
1、白牙市工业园06-11-16地块控制性详细规划
规划情况:06-11-16地块位于白牙市镇工业园内,鹿鸣路与官田路交汇处,官田路西侧,鹿鸣路北侧;规划主要经济技术指标:用地性质为二类居住用地(兼容商业30%),用地面积53334㎡(合约80.0亩),容积率≤3.0,建筑密度≤22%,绿地率≥35%,建筑限高≤80m,南退用地红线≥13m,东退官田北路道路红线≥12m,西退用地红线≥13m,北退用地红线≥25m。
地块编号 |
06-11-16 |
备注 |
|
用地性质 |
二类居住用地 |
兼容商业30% |
|
用地面积 |
53334㎡(合约80.0亩) |
|
|
容积率 |
≤3.0 |
|
|
建筑密度 |
≤22% |
|
|
绿地率 |
≥35% |
|
|
建筑限高 |
≤80 |
|
|
建筑 退界 |
东 |
≥12 |
|
南 |
≥13 |
|
|
西 |
≥13 |
|
|
北 |
≥25 |
|
2、ray雷竞技官网入口县城垃圾处理厂JTX-08地块控制性详细规划
规划情况:该规划位于永东公路与芦井路交汇处,永东公路南侧,芦井路西侧,ray雷竞技官网入口城市规划区远景规划范围内。规划主要经济技术指标:用地性质为商业用地,总用地面积89754.56㎡(合约134.63亩),容积率≤4.5,建筑密度≤50%,绿地率≥20%,建筑限高54m,北侧退永东道路红线≥30m,南退用地红线≥5m,东退芦井路道路红线≥25m,西退用地红线≥5m。其中ray雷竞技官网入口城市生活垃圾无害化处理有限公司用地:总用地面积50589.94㎡(合约75.8亩),其中道路用地面积3184.64㎡(4.77亩),容积率≤5.5,建筑密度≤45%,绿地率≥30%,建筑限高80m。
地块编号 |
06-11-16 |
备注 |
|
用地性质 |
商业用地 |
|
|
用地面积 |
89754.56㎡(合约134.63亩) |
|
|
容积率 |
≤4.5 |
|
|
建筑密度 |
≤50% |
|
|
绿地率 |
≥30% |
|
|
建筑限高 |
≤54 |
|
|
建筑 退界 |
东 |
≥25 |
|
南 |
≥5 |
|
|
西 |
≥5 |
|
|
北 |
≥30 |
|
3、ray雷竞技官网入口黄泥洞地新龙矿业XL-01地块控制性详细规划
规划情况:新龙矿业地块位于ray雷竞技官网入口西北部,黄泥洞林场境内线江冲工区,规划主要经济技术指标:规划用地面积61672.43㎡(合约92.5亩),用地性质为商业用地,容积率≤3.5,建筑密度≤40%,绿地率≥30%,建筑限高≤54m,南退用地红线≥3m,东退用地红线≥3m,西退用地红线≥3m, 北退用地红线≥3m。
地块编号 |
XL-01 |
备注 |
|
用地性质 |
商业用地 |
|
|
用地面积 |
61672.43㎡(合约92.5亩) |
|
|
容积率 |
≤3.5 |
|
|
建筑密度 |
≤40% |
|
|
绿地率 |
≥30% |
|
|
建筑限高 |
≤54 |
|
|
建筑 退界 |
东 |
≥3 |
|
南 |
≥3 |
|
|
西 |
≥3 |
|
|
北 |
≥3 |
|
三、市政工程
1、ray雷竞技官网入口135工程升级版标准化厂房路网配套工程
规划情况:具体道路规划设计参数见下表:
道路名称 |
位置 |
道路规划宽度(m) |
道路长度 |
横断面设计 |
改造内容 |
创业路东延伸段道路工程 |
起点:金源路 终点:绕城东路 |
24m |
424.28m |
4.0m人行道+8.0m车行道+8.0m车行道+4.0m人行道 |
车行道:总厚度为67cm。4cm细粒式沥青砼(AC-13,采用改性沥青)+7cm密级配粗型粗粒式沥青砼(AC-25C)+1cm改性乳化沥青(BCR)稀浆封层+20cm5%水泥稳定碎石基层+20cm4%水泥稳定碎石底基层+15cm4%水泥稳定碎石底基层。 人行道路面结构:总厚度为22cm。4cm厚麻石板(30*60cm)+3cm厚1:3水泥砂浆座底+15cmC20砼垫层。人行道设计了盲道板,路侧石及行道树树池侧石均采用麻石材质。 |
南北向支路 |
起点:创业路 终点:绕城北路 |
18m |
260.6 m |
2.5m人行道+6.5m车行道+6.5m车行道+2.5m人行道 |

2、ray雷竞技官网入口崇德东路(鹿鸣路至铁路桥)道路工程
规划情况:具体道路规划设计参数见下表:
道路名称 |
位置 |
道路规划宽度(m) |
道路长度 |
横断面设计 |
改造内容 |
崇德东路 |
起点:鹿鸣路 终点:铁路桥路 |
18m |
1093.821m |
2.5m人行道+6.5m车行道+6.5m车行道+2.5m人行道 |
车行道:总厚度为67cm,即4cm细粒式沥青砼(AC-13,采用改性沥青)+ 7cm密级配粗型粗粒式沥青砼(AC-25C)+1cm改性乳化沥青(BCR)稀浆封层+20cm5%水泥稳定碎石基层+20cm4%水泥稳定碎石底基层+15cm4%水泥稳定碎石底基层。 人行道路面结构:总厚度为22cm。6cm厚透水砖+2cm厚C25无砂砼结合层+15cmC25无砂砼透水基层+10cm碎石层。人行道设计了盲道板,路侧石及行道树树池侧石均采用麻石材质。
|


四、选址规划
1、ray雷竞技官网入口大盛镇污水处理厂选址规划
规划情况:该选址位于回龙居委会,大盛中学南侧,距大盛中学165m,选址用地面积约为2321.1㎡(合约3.48亩)。
2、ray雷竞技官网入口石期市镇污水处理厂选址规划
规划情况:该选址位于国道207东北侧,离湘江边约300m,选址用地面积约为3267㎡(合约5.0亩)。
联 系 人:聂庆
联系电话:13037498040
联系地址:ray雷竞技官网入口舜皇大道自然资源局